fbpx


LOADING

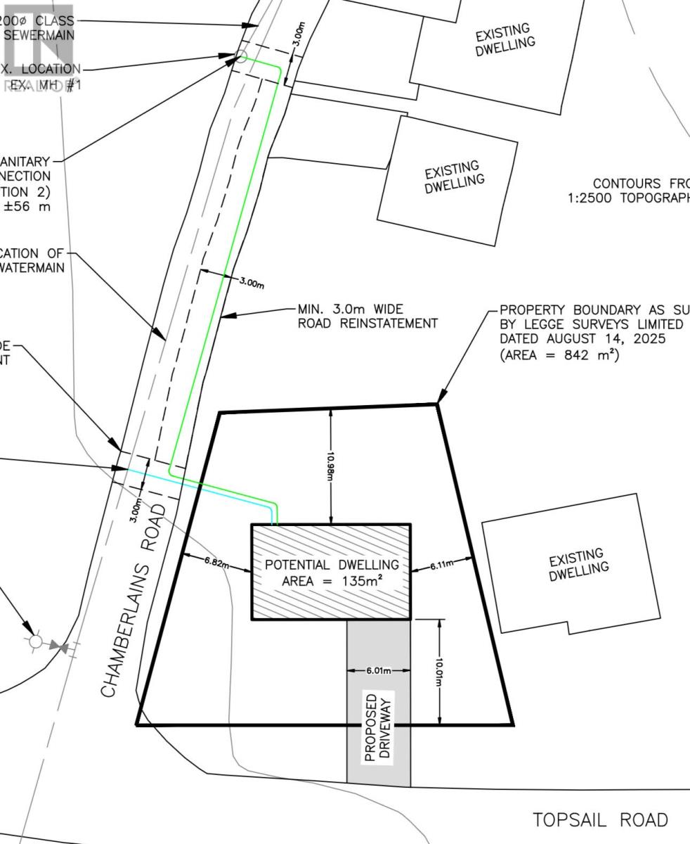
2632-2634 Topsail Road Conception Bay South, Newfoundland & Labrador A1W 5R9

$75,000

Prime location ! Estate sale. Purchaser responsible for all Municipal Connection Fees. and Permits. Services are best suited to extend across topsail Road. If HST Applicable , Responsibility of the Purchaser .Survey under Documents (id:51189)

Property Details

MLS® Number 1296389
Property Type Vacant Land

Building

UtilityWater Municipal Water

Land

AccessType Year-round Access
Acreage No
Sewer Municipal Sewage System
SizeIrregular 842 Sq Meters
SizeTotalText 842 Sq Meters|7,251 - 10,889 Sqft
ZoningDescription Res

https://www.realtor.ca/real-estate/29633078/2632-2634-topsail-road-conception-bay-south

Interested?

Contact us for more information


Generating Captcha

Your Favourites

 

No Favourites Found

 

Compare listings

Compare

Enter your email address to view the listing details...