fbpx


LOADING

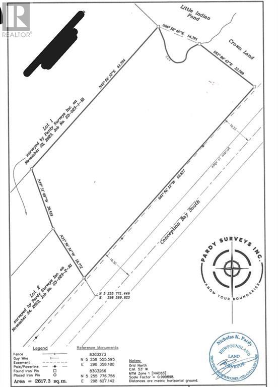
1812-1818 Conception Bay Highway Conception Bay South, Newfoundland & Labrador A1X 6N1

$109,000

Don’t miss this incredible opportunity to attain land where Municipal water and sewer services are scheduled to be installed this year, creating exciting potential for future development, including the possibility of subdividing into up to four building lots (subject to approvals). All lots would be directly accessed from Conception Bay Highway and one would have pond access. Further options include building your dream home on nearly 3/4 of an acre in sought-after CBS. This stunning property offers approximately 50 feet of frontage on Little Indian Pond, providing direct water access, natural setting. Partially landscaped and enhanced with beautiful mature trees. Ideally located just one minute from Peacekeepers Highway, with easy access to walking trails, a golf course, and nearby amenities. Now is the perfect time to invest in land and bring your vision to life. Purchaser responsible for all applicable development fees, permits, and HST. (id:51189)

Property Details

MLS® Number 1295474
Property Type Vacant Land

Building

UtilityWater Municipal Water

Land

AccessType Boat Access, Year-round Access
Acreage No
Sewer Municipal Sewage System
SizeIrregular 271.7 X 73.8 X 47.2 X 202 X 67.3 X 61.6
SizeTotalText 271.7 X 73.8 X 47.2 X 202 X 67.3 X 61.6|.5 - 9.99 Acres
ZoningDescription Residential

https://www.realtor.ca/real-estate/29504375/1812-1818-conception-bay-highway-conception-bay-south

Interested?

Contact us for more information


Generating Captcha

Your Favourites

 

No Favourites Found

 

Compare listings

Compare

Enter your email address to view the listing details...